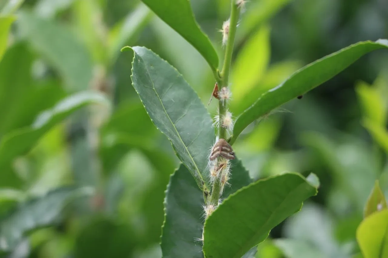
Doğu Karadeniz'de tarımı tehdit eden 'vampir kelebekler' sıcaklık artışıyla yeniden ortaya çıktı.

Ricania Simulans türü kelebekler bitkilerin özsuyunu emerek büyük zarar veriyor. Temmuzda yumurtlayan kelebekler Ağustos'ta bitkilere saldırıyor.

Rize'nin Çayeli ilçesinde yaşayanlar kelebeklerin evlere kadar girdiğini belirtiyor. Çiftçiler salatalık, fasulye ve çay bahçelerinin kuruduğunu ifade ediyor.

Bölge halkı yetkililerden acil önlem talep ediyor. Kelebek istilasının tarımı ve yaşamı zorlaştırdığı vurgulanıyor.

Kelebekler gece evlerin içine girerek rahatsızlık veriyor. Halk pencereleri açamadıklarını ve meyve kalmadığını dile getiriyor.

Uzmanlar iklim değişikliğiyle artan sıcaklıkların istilayı tetiklediğini belirtiyor. Çiftçiler için ekonomik kayıpların büyüdüğü kaydediliyor.